许绍雄离世 终年76岁 (香港28日讯)香港资深艺人许绍雄昨日(27日)惊传病危入院,家人及不少圈中好友更被急召到医院见面。至今日早上(28日),许绍雄家人透过黎芷珊宣布,许绍雄于凌晨2时30分安详离世,因癌症引发器官多重机能衰竭,终年76岁。 28 10, 2025 0 登载于 国际
美国陷黑暗时刻 拜登批特朗普扩权 (综合28日电)美国前总统拜登近日公开警告,美国正处于黑暗时刻,但他同时呼吁民众保持乐观,不要因现任总统特朗普对言论自由的打压与行政权扩张而放弃信念。 28 10, 2025 0 登载于 国际
台大研发20天生发神液登国际 (综合28日电)秃头族有救了!台湾研究团队近期发表的一项突破性成果,竟在国际间掀起轰动。台湾大学的研究团队发现,只要涂抹含天然脂肪酸的精华液,就能在20天内促进毛发再生,这项实验不仅刊登在《细胞代谢》期刊,更被外媒《Nexta》转载后引爆话题,吸引近1800万人次观看,外国网友甚至笑称,“保护台湾比以往任何时候都更重要!” 28 10, 2025 0 登载于 国际
与德仁天皇时隔6年再会 特朗普:他是位伟大的人 (综合28日电)日本德仁天皇27日在皇居御所接见来访的美国总统特朗普,这是自2019年特朗普访日时以来,两人时隔6年再度会面。双方除谈论美日关系,也提到美国职棒大联盟(MLB)道奇队的日籍球星大谷翔平与山本由伸,气氛融洽。 28 10, 2025 0 登载于 国际
特斯拉董事主席警告股东:马斯克恐离开公司 (综合28日电)美国电动车巨头特斯拉董事会主席丹霍姆27日致函股东警告,若马斯克提出的1兆美元奖酬计画未获通过,马斯克可能会辞去执行长一职。这封信发出之际,特斯拉即将于11月6日举行年度股东大会,而董事会长期以来饱受批评,外界质疑其过度依赖马斯克,缺乏独立性与有效监督。 28 10, 2025 0 登载于 国际
亚马逊拟大裁员3万人 CEO:AI用更少人力创更多效率 (综合28日电)根据多位知情人士透露,美国电商巨擘亚马逊将自28日起,展开大规模裁员行动,裁减最多达3万名企业员工,占公司35万名企业职员近10%。这将是亚马逊自2022年底以来最大规模的裁员行动,当时该公司已裁撤约2.7万个职位。 28 10, 2025 0 登载于 国际
高市早苗今首会特朗普 聚焦5500亿美元投资增国防预算 (综合28日电)日本首相高市早苗将于28日上午在东京与美国总统特朗普举行首次面对面会谈,双方将聚焦于5500亿美元的对美投资计画、日本防卫力强化及贸易议题,高市也预计向特朗普说明,日本计画今年度达到将防卫开支增加至GDP的2%目标。 28 10, 2025 0 登载于 国际
全球航空公司不满意排名出炉 美国航空名列第一 (综合28日电)年底出国注意了!1项全球研究揭示最让乘客不满意的航空公司。结果显示,美国航空以最低评价与最高事故率居冠,成为最让乘客痛苦的航空公司;其次为Frontier Airlines与联合航空。 28 10, 2025 0 登载于 国际
特粉喊以副总统身分再战2028 特朗普:太取巧不讨喜 (综合28日电)美国总统特朗普的支持者期待他可以寻求第三任期,甚至有人建议他以副总统身分跟另一人搭配参加2028年大选,当选后再让对方辞掉总统职位,他就能接任总统继续掌政。对此,特朗普27日表示,尽管他确实可以如此做,但这种方式不正确,也太过取巧,他会排除这个做法,并强调共和党有许多优秀人才。 28 10, 2025 0 登载于 国际
军方重炮攻坚KK园区 上千人跳河出逃多人溺毙 (综合28日电)缅甸恶名昭彰的诈骗大本营KK园区惊传末日景象!缅甸军方近日对该园区发动毁灭性清剿,连续数日使用无人机甚至引爆炸药,园区内火光冲天、浓烟滚滚,连对岸的泰国都感受到震动。此举引发园区内上千名涉诈人员(俗称猪仔)的大逃亡,他们为求活命,不顾一切跳入边界的莫伊河,试图游向泰国,酿成多人溺毙的惨剧。 28 10, 2025 0 登载于 国际
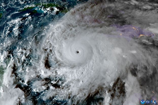
怪物梅丽莎爆发 牙买加大规模强制疏散 (综合28日电)梅丽莎飓风暴风增强为5级飓风,且以接近人类步行的速度缓慢地移动,即将侵袭牙买加,预估其暴风圈将带来致灾性洪水、山崩与危及生命的破坏力,可能成为自有史以来侵袭该岛最强的飓风,当地已经发布大规模强制疏散令。 28 10, 2025 0 登载于 国际
美2军机南海坠毁 中方:炫耀武力 引发安全问题 (综合27日电)针对美军一架直升机与一架战斗机26日先后在南海坠毁,中国外交部发言人郭嘉昆27日说,如果美方提出,中方愿从人道主义角度出发向美方提供必要协助。但他接著说,美方频繁派遣军舰、军机到南海“炫耀武力”,是“破坏地区和平稳定的根源”。 27 10, 2025 0 登载于 国际