怪物梅丽莎爆发 牙买加大规模强制疏散
- 登载于 国际
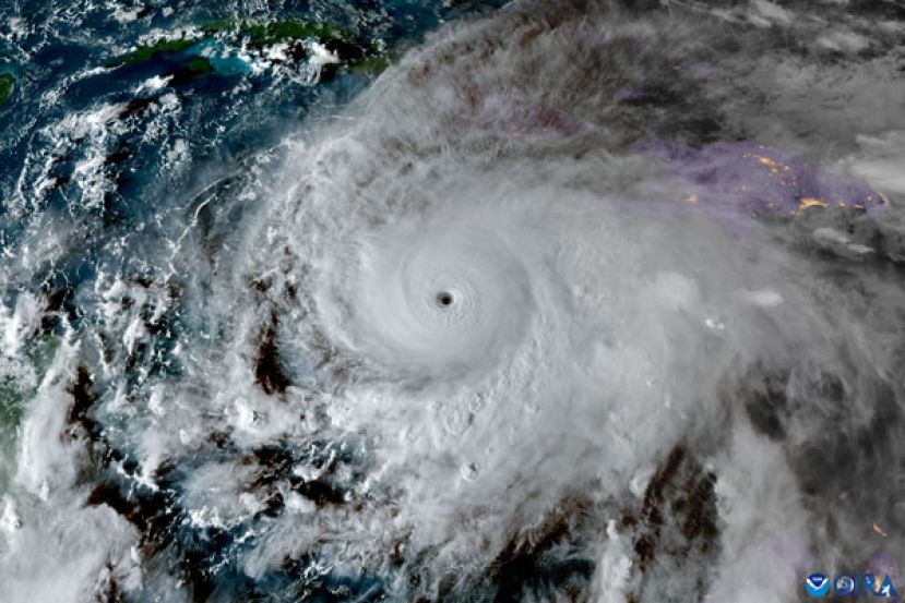
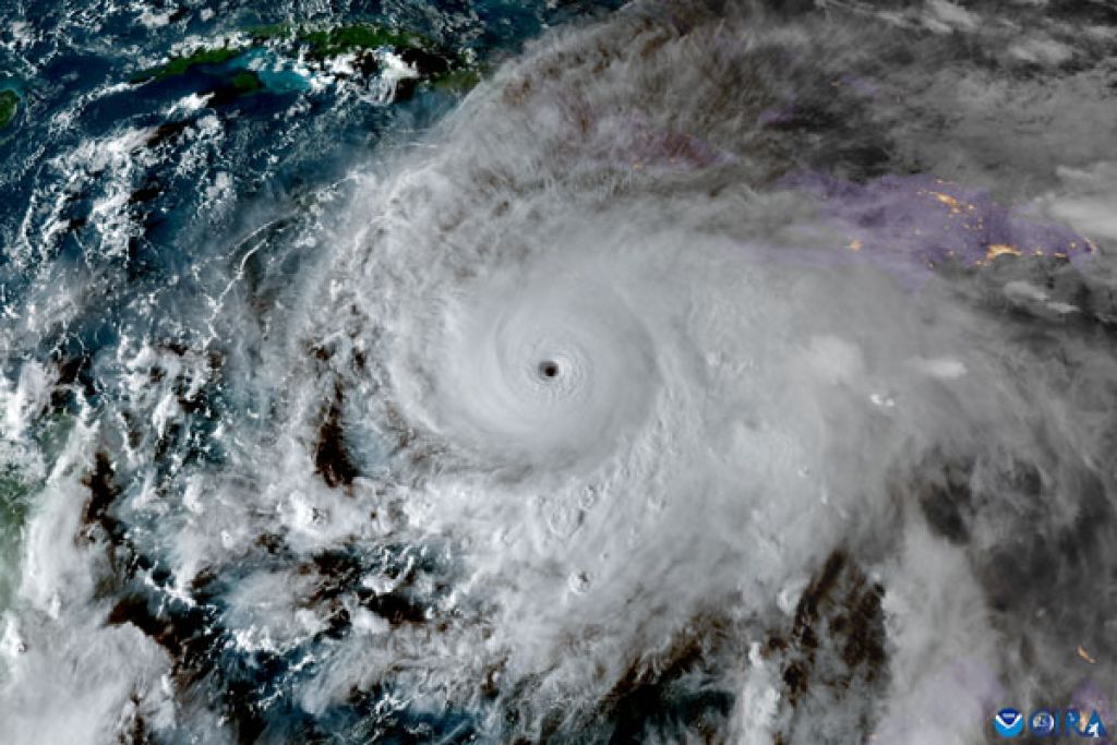
(综合28日电)梅丽莎飓风暴风增强为5级飓风,且以接近人类步行的速度缓慢地移动,即将侵袭牙买加,预估其暴风圈将带来致灾性洪水、山崩与危及生命的破坏力,可能成为自有史以来侵袭该岛最强的飓风,当地已经发布大规模强制疏散令。
美国有线电视新闻网报导,梅丽莎飓风几乎呈现一个完美的圆形,台风眼清晰可见,可见其威力巨大,眼内天气相对平静,周围环绕著最猛烈强风的眼墙结构,截至目前,其眼墙仍在上演闪电秀,显示飓风内存在大量雷暴活动,也意味著飓风强度还在增强。
美国国家海洋暨大气总署指出,梅丽莎仍在增强并靠近牙买加,近中心风速还有变强趋势,且以人类的标准来看,梅丽莎过去的移动速度相当缓慢,几乎是以人类步行的速度、每小时3英里(约5公里)移动,也因其缓慢的速度,加上环境条件改善,使它在周末爆发性增强为5级飓风,也是大西洋有史以来第45个5级飓风。
根据牙买加历史,自1851年有可靠纪录以来,从未有5级飓风登陆过当地,已知影响最剧烈的一次是1988年的吉尔伯特4级飓风,摧毁了超过10万栋房屋,造成45人死亡,这次当局启动大规模疏散命令,呼吁居民前往政府设立的800个避难所,去地势高的地方,否则可能危及性命。
.png)
