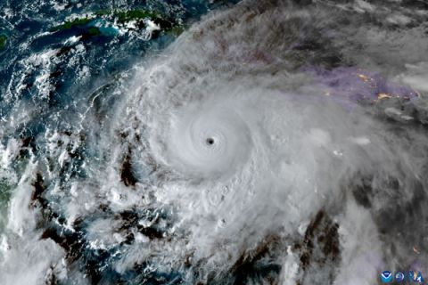
怪物梅丽莎爆发 牙买加大规模强制疏散 (综合28日电)梅丽莎飓风暴风增强为5级飓风,且以接近人类步行的速度缓慢地移动,即将侵袭牙买加,预估其暴风圈将带来致灾性洪水、山崩与危及生命的破坏力,可能成为自有史以来侵袭该岛最强的飓风,当地已经发布大规模强制疏散令。 28 10, 2025 登载于 国际 0
吉林大学,太宝藏了吧! 白山巍巍,松水汤汤。在北国春城长春,屹立着一所与共和国共同成长的高等学府。她历经近八十载风雨洗礼,谱写出一部服务国需、励志图强的奋斗史。 13 01, 2026 登载于 中国万象 0
五帝时代在中华文明发展进程中是何存在? 夏朝以前的“三皇五帝”是神话人物还是历史真实?五帝时代在中华文明发展进程中究竟是怎样的存在?……这些问题长期以来在学界颇具争议,也广受关注。 12 01, 2026 登载于 中国万象 0
寻访武夷山 “朱子故里”:“源头活水” 浸润至今 漫步在五夫镇兴贤古街,水流声萦绕耳畔,路旁沟渠里清澈的溪水流淌,锦鲤游弋。“这是从籍溪引来的‘源头活水’。”武夷山朱子文化发展有限公司朱子理学院研究员黄鹤鸣告诉中新社记者。 13 01, 2026 登载于 中国万象 0